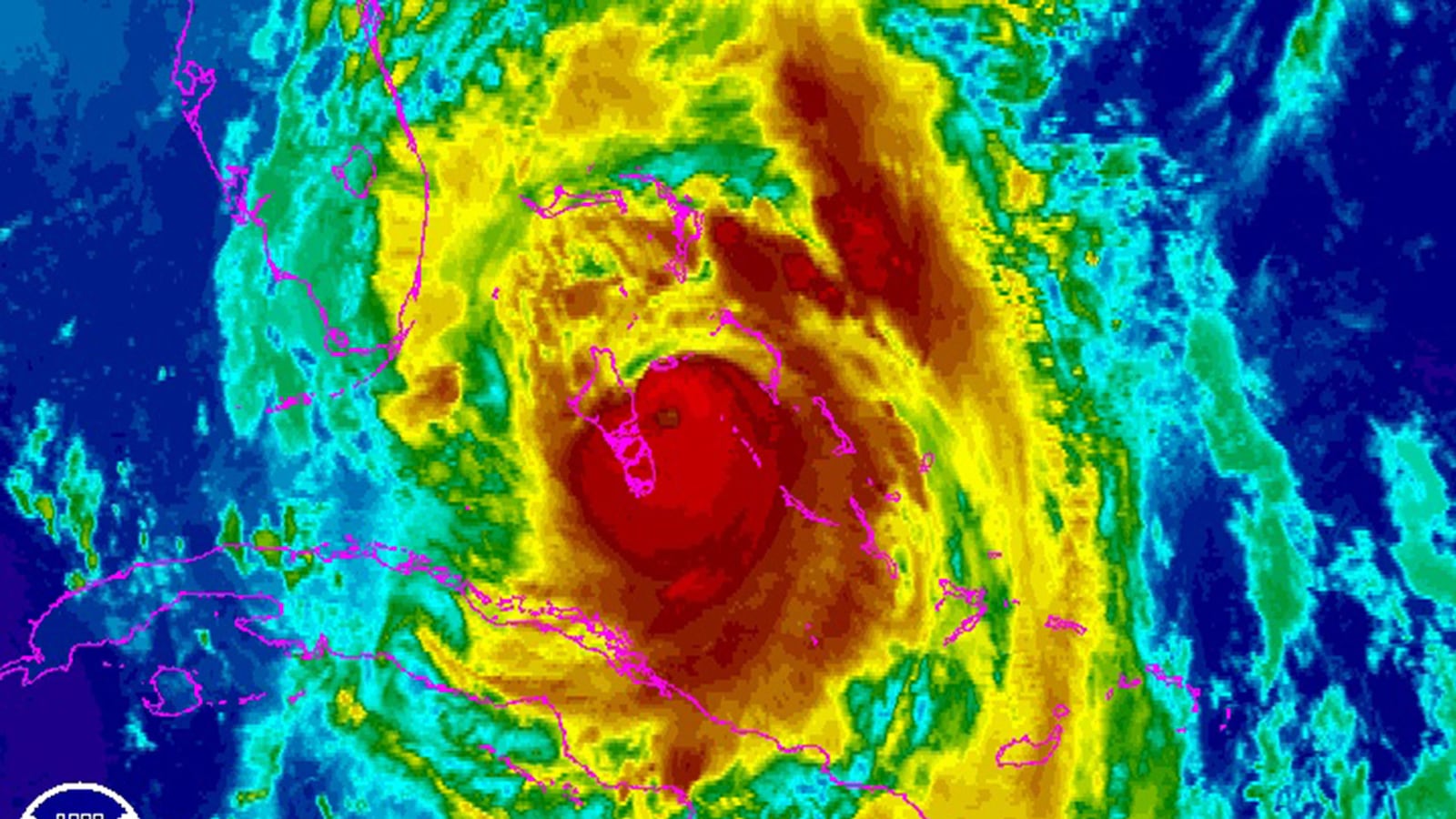
Having already devastated parts of Haiti and the Bahamas, Hurricane Matthew has strengthened and, despite dropping down to a Category 3 storm overnight, is causing widespread damage in Florida. Winds up to 120 miles per hour have continued to hit Florida's central Atlantic coast and more than 900,000 residents have lost power.
As of Friday morning, the hurricane warnings have been extended to Surf City, North Carolina, but dropped south of Cocoa Beach, Florida. A storm surge Friday afternoon is predicted to reach anywhere from seven to 11 feet and could flood portions of Jacksonville, Florida's downtown.
Projections show that the storm could go out to sea without landfall, but its center could still cross land in Florida, Georgia, or the Carolinas, CNN experts say. Center winds remain at around 115 miles per hour near Florida's coast.
There have been two deaths reported in the U.S. so far. One victim, in St. Lucie County, Florida, was a woman in her late 50s, who died of a cardiac arrest after emergency crews failed to reach her due to strong winds. The other victim was an unconscious 82-year-old man who, according to officials, was declared dead after being taken to a hospital.
The total death toll of the storm has reached more than 800 as of Friday, with at least 842 people dead in Haiti and four in the neighboring Dominican Republic, according to Officials in Haiti's Civil Protection Agency. Officials have said the storm is the most intense to strike the Caribbean in a decade, displacing thousands. Medical professionals are also raising concerns about a possible cholera outbreak on the island.
On Wednesday night, Georgia Gov. Nathan Deal ordered a mandatory evacuation for the entire coast, an area that hasn’t seen a hurricane evacuation in 17 years, according to the Associated Press.
If wind speeds increase and Matthew is upgraded to a Category Four storm again, it could also be the first Category Four since 2004 to make landfall in the U.S.– which caused $14 billion worth of damage in the southern states.
Florida Governor Rick Scott has continued to warn those in evacuation zones that they must leave. “If Hurricane Matthew directly impacts Florida, there could be massive destruction which we haven’t seen since Hurricane Andrew devastated Miami-Dade County in 1992,” Scott said in a statement. “That is why we cannot delay and must prepare for direct impact now.”
"If you're reluctant to evacuate,” Governor Scott said Thursday, “just think of all the people this storm has already killed. You and your family could be among these numbers if you don't take this seriously."
Here’s everything you need to know to follow the storm, keep up with news updates, and stay safe during Hurricane Matthew:
When will Hurricane Matthew hit? Where is it now?
Matthew has already hit parts of Florida causing power outages and flooding. Projections show it may not make landfall, but will continue to cause damage in parts of Florida, Georgia, and the Carolinas.
The South Carolina Emergency Management Division (SCEMD) has sent several updates on the hurricane via social media, updating residents as the storm moves towards the Carolinas.
What Should I Do?
Authorities are recommending that those in evacuation zones leave as soon as possible if they have not done so yet, and that they keep nonperishable food and a water supply on hand along with flashlights, medications, and warm clothing.
How do I sign up for weather alerts?
Anyone can download the FEMA app to receive alerts from the National Weather Service (NWS), locate local shelters, and get safety reminders.
Weather.com is updating its “Matthew Forecast” as new information comes in. CNN is also providing live updates from the storm.
FEMA and the National Weather Service will also be posting alerts and updates on their twitter pages.
For those in South Carolina, you can keep up with weather alerts by following the South Carolina Emergency Management Division on twitter.
Those in Florida can also follow various twitter feeds, including the Jacksonville Sheriff’s Office, National Weather Service Miami, WSVN 7 News, and 7 Weather.
Photos: View Hurricane Matthew’s Devastating Path







